- Labradoodle 5 Monate zieht ein Beitrag #21
R
RedDelicious
- Beiträge
- 28
- Punkte Reaktionen
- 4
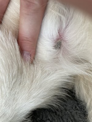
Du hast gerade dieses Thema „Parasiten“ angesprochen, heute Morgen habe ich bei der Hündin, Flöhe entdeckt. Gestern kratzte sie sich auch ab und an, da wurde ich schon stutzig. Und nun ist auch noch Sonntag und morgen ein Feiertag.
Ich habe direkt mit dem Flokamm durch das Fell gekämmt und da kamen einige zum Vorschein.
Was mach ich denn da? Warten bis Dienstag? Ist sowas ein Notfall?
Ich habe direkt mit dem Flokamm durch das Fell gekämmt und da kamen einige zum Vorschein.
Was mach ich denn da? Warten bis Dienstag? Ist sowas ein Notfall?
